BLACK FRIDAY - PAKIET MAX NA 3 WOJEWÓDZTWA 50% TANIEJ!      JESZCZE PRZEZ ...                   

Przetargi: grunty wałbrzyski

Lokalizacja

Organizator przetargu

Typ nieruchomości


Przetarg na działkę

Jedlina-Zdrój

...odbędzie się w dniu

14 czerwca 2022 r. o godz. 11:00

w siedzibie Urzędu Miasta w Jedlinie-Zdroju przy ulicy Poznańskiej nr 2

5. Wysokość wadium, forma, termin i miejsce jego wniesienia:

Warunkiem przystąpienia do przetargu jest dokonanie wpłaty wadium w pieniądzu w wysokości 3 000 zł (słownie: trzy tysiące złotych) na rachunek Gminy Jedlina-Zdrój nr 13102050950000560200114280 PKO BP S.A. I Oddział w Wałbrzychu, nie później niż 7 czerwca 2022 r., z napisem na dowodzie wpłaty (prze...
Szczegóły przetargu

Cena wywoławcza:

15 000 zł

147 zł/m2

102 m2

Termin: 2022-06-14

Organizator przetargu:
Urząd Miasta Jedlina-Zdrój
Przetarg na działkę

Jedlina-Zdrój

Cena wywoławcza:

15 000 zł

147 zł/m2

102 m2

...odbędzie się w dniu

14 czerwca 2022 r. o godz. 11:00

w siedzibie Urzędu Miasta w Jedlinie-Zdroju przy ulicy Poznańskiej nr 2

5. Wysokość wadium, forma, termin i miejsce jego wniesienia:

Warunkiem przystąpienia do przetargu jest dokonanie wpłaty wadium w pieniądzu w wysokości 3 000 zł (słownie: trzy tysiące złotych) na rachunek Gminy Jedlina-Zdrój nr 13102050950000560200114280 PKO BP S.A. I Oddział w Wałbrzychu, nie później niż 7 czerwca 2022 r., z napisem na dowodzie wpłaty (prze...
Szczegóły przetargu

Termin: 2022-06-14

Organizator przetargu:
Urząd Miasta Jedlina-Zdrój
Przetarg na działkę

Jedlina-Zdrój

...odbędzie się w dniu

7 czerwca 2022 r. o godz. 11:00

w siedzibie Urzędu Miasta w Jedlinie-Zdroju przy ulicy Poznańskiej nr 2

4. Wysokość wadium, forma, termin i miejsce jego wniesienia:

Warunkiem przystąpienia do przetargu jest dokonanie wpłaty wadium w pieniądzu w wysokości 30 000 zł na rachunek Gminy Jedlina-Zdrój nr 13102050950000560200114280 PKO BP S.A. I Oddział w Wałbrzychu, nie później niż 31 maja 2022 r., z napisem na dowodzie wpłaty (przelewie) „wadium – działka nr 37/9”....
Szczegóły przetargu

Cena wywoławcza:

220 000 zł

62,00 zł/m2

3 571 m2

Termin: 2022-06-07

Organizator przetargu:
Urząd Miasta Jedlina-Zdrój
Przetarg na działkę

Jedlina-Zdrój

Cena wywoławcza:

220 000 zł

62,00 zł/m2

3 571 m2

...odbędzie się w dniu

7 czerwca 2022 r. o godz. 11:00

w siedzibie Urzędu Miasta w Jedlinie-Zdroju przy ulicy Poznańskiej nr 2

4. Wysokość wadium, forma, termin i miejsce jego wniesienia:

Warunkiem przystąpienia do przetargu jest dokonanie wpłaty wadium w pieniądzu w wysokości 30 000 zł na rachunek Gminy Jedlina-Zdrój nr 13102050950000560200114280 PKO BP S.A. I Oddział w Wałbrzychu, nie później niż 31 maja 2022 r., z napisem na dowodzie wpłaty (przelewie) „wadium – działka nr 37/9”....
Szczegóły przetargu

Termin: 2022-06-07

Organizator przetargu:
Urząd Miasta Jedlina-Zdrój
Przetarg na działkę

Mieroszów

...odbędzie się w dniu 3 czerwca 2022 r. o godzinie 9:00 w budynku Urzędu Miejskiego w Mieroszowie - sala posiedzeń, II piętro.

2. Nieruchomość niezabudowana - działka nr 424/5 o powierzchni 0,1045 ha

Nieruchomość gruntowa niezabudowana i nieuzbrojona, aktualnie stanowi niezagospodarowany teren porośnięty trawami i chwastami. Działka gruntowa o kształcie zbliżonym do prostokąta z zachowaną proporcją długości boków, teren płaski od północy graniczy z niewielką skarpą. Nieruchomość usytuowa...
Szczegóły przetargu

Cena wywoławcza:

72 000 zł

63,00 zł/m2

1 143 m2

Termin: 2022-06-03

Organizator przetargu:
Urząd Miasta i Gminy Mieroszów
Przetarg na działkę

Mieroszów

Cena wywoławcza:

72 000 zł

63,00 zł/m2

1 143 m2

...odbędzie się w dniu 3 czerwca 2022 r. o godzinie 9:00 w budynku Urzędu Miejskiego w Mieroszowie - sala posiedzeń, II piętro.

2. Nieruchomość niezabudowana - działka nr 424/5 o powierzchni 0,1045 ha

Nieruchomość gruntowa niezabudowana i nieuzbrojona, aktualnie stanowi niezagospodarowany teren porośnięty trawami i chwastami. Działka gruntowa o kształcie zbliżonym do prostokąta z zachowaną proporcją długości boków, teren płaski od północy graniczy z niewielką skarpą. Nieruchomość usytuowa...
Szczegóły przetargu

Termin: 2022-06-03

Organizator przetargu:
Urząd Miasta i Gminy Mieroszów
Przetarg na działkę

Mieroszów

...odbędzie się w dniu 3 czerwca 2022 r. o godzinie 9:00 w budynku Urzędu Miejskiego w Mieroszowie - sala posiedzeń, II piętro.

2. Nieruchomość niezabudowana - działka nr 424/5 o powierzchni 0,1045 ha

Nieruchomość gruntowa niezabudowana i nieuzbrojona, aktualnie stanowi niezagospodarowany teren porośnięty trawami i chwastami. Działka gruntowa o kształcie zbliżonym do prostokąta z zachowaną proporcją długości boków, teren płaski od północy graniczy z niewielką skarpą. Nieruchomość usytuowa...
Szczegóły przetargu

Cena wywoławcza:

67 000 zł

64,00 zł/m2

1 045 m2

Termin: 2022-06-03

Organizator przetargu:
Urząd Miasta i Gminy Mieroszów
Przetarg na działkę

Mieroszów

Cena wywoławcza:

67 000 zł

64,00 zł/m2

1 045 m2

...odbędzie się w dniu 3 czerwca 2022 r. o godzinie 9:00 w budynku Urzędu Miejskiego w Mieroszowie - sala posiedzeń, II piętro.

2. Nieruchomość niezabudowana - działka nr 424/5 o powierzchni 0,1045 ha

Nieruchomość gruntowa niezabudowana i nieuzbrojona, aktualnie stanowi niezagospodarowany teren porośnięty trawami i chwastami. Działka gruntowa o kształcie zbliżonym do prostokąta z zachowaną proporcją długości boków, teren płaski od północy graniczy z niewielką skarpą. Nieruchomość usytuowa...
Szczegóły przetargu

Termin: 2022-06-03

Organizator przetargu:
Urząd Miasta i Gminy Mieroszów
Przetarg na działkę

Mieroszów

...odbędzie się w dniu 3 czerwca 2022 r. o godzinie 9:00 w budynku Urzędu Miejskiego w Mieroszowie - sala posiedzeń, II piętro.

2. Nieruchomość niezabudowana - działka nr 424/5 o powierzchni 0,1045 ha

Nieruchomość gruntowa niezabudowana i nieuzbrojona, aktualnie stanowi niezagospodarowany teren porośnięty trawami i chwastami. Działka gruntowa o kształcie zbliżonym do prostokąta z zachowaną proporcją długości boków, teren płaski od północy graniczy z niewielką skarpą. Nieruchomość usytuowa...
Szczegóły przetargu

Cena wywoławcza:

63 000 zł

64,00 zł/m2

991 m2

Termin: 2022-06-03

Organizator przetargu:
Urząd Miasta i Gminy Mieroszów
Przetarg na działkę

Mieroszów

Cena wywoławcza:

63 000 zł

64,00 zł/m2

991 m2

...odbędzie się w dniu 3 czerwca 2022 r. o godzinie 9:00 w budynku Urzędu Miejskiego w Mieroszowie - sala posiedzeń, II piętro.

2. Nieruchomość niezabudowana - działka nr 424/5 o powierzchni 0,1045 ha

Nieruchomość gruntowa niezabudowana i nieuzbrojona, aktualnie stanowi niezagospodarowany teren porośnięty trawami i chwastami. Działka gruntowa o kształcie zbliżonym do prostokąta z zachowaną proporcją długości boków, teren płaski od północy graniczy z niewielką skarpą. Nieruchomość usytuowa...
Szczegóły przetargu

Termin: 2022-06-03

Organizator przetargu:
Urząd Miasta i Gminy Mieroszów
Przetarg na działkę

Mieroszów

...odbędzie się w dniu 2 czerwca 2022 r. o godzinie 9:00 w budynku Urzędu Miejskiego w Mieroszowie - sala posiedzeń, II piętro.

2. Nieruchomość niezabudowana - działka nr 424/2 o powierzchni 0,1272 ha

Nieruchomość gruntowa niezabudowana i nieuzbrojona, aktualnie stanowi niezagospodarowany teren porośnięty trawami i chwastami. Działka gruntowa o kształcie zbliżonym do prostokąta z zachowaną proporcją długości boków, teren płaski. Nieruchomość usytuowana jest w sąsiedztwie innych niezabudow...
Szczegóły przetargu

Cena wywoławcza:

82 000 zł

46,00 zł/m2

1 802 m2

Termin: 2022-06-02

Organizator przetargu:
Urząd Miasta i Gminy Mieroszów
Przetarg na działkę

Mieroszów

Cena wywoławcza:

82 000 zł

46,00 zł/m2

1 802 m2

...odbędzie się w dniu 2 czerwca 2022 r. o godzinie 9:00 w budynku Urzędu Miejskiego w Mieroszowie - sala posiedzeń, II piętro.

2. Nieruchomość niezabudowana - działka nr 424/2 o powierzchni 0,1272 ha

Nieruchomość gruntowa niezabudowana i nieuzbrojona, aktualnie stanowi niezagospodarowany teren porośnięty trawami i chwastami. Działka gruntowa o kształcie zbliżonym do prostokąta z zachowaną proporcją długości boków, teren płaski. Nieruchomość usytuowana jest w sąsiedztwie innych niezabudow...
Szczegóły przetargu

Termin: 2022-06-02

Organizator przetargu:
Urząd Miasta i Gminy Mieroszów
Przetarg na działkę

Mieroszów

...odbędzie się w dniu 2 czerwca 2022 r. o godzinie 9:00 w budynku Urzędu Miejskiego w Mieroszowie - sala posiedzeń, II piętro.

2. Nieruchomość niezabudowana - działka nr 424/2 o powierzchni 0,1272 ha

Nieruchomość gruntowa niezabudowana i nieuzbrojona, aktualnie stanowi niezagospodarowany teren porośnięty trawami i chwastami. Działka gruntowa o kształcie zbliżonym do prostokąta z zachowaną proporcją długości boków, teren płaski. Nieruchomość usytuowana jest w sąsiedztwie innych niezabudow...
Szczegóły przetargu

Cena wywoławcza:

80 000 zł

63,00 zł/m2

1 272 m2

Termin: 2022-06-02

Organizator przetargu:
Urząd Miasta i Gminy Mieroszów
Przetarg na działkę

Mieroszów

Cena wywoławcza:

80 000 zł

63,00 zł/m2

1 272 m2

...odbędzie się w dniu 2 czerwca 2022 r. o godzinie 9:00 w budynku Urzędu Miejskiego w Mieroszowie - sala posiedzeń, II piętro.

2. Nieruchomość niezabudowana - działka nr 424/2 o powierzchni 0,1272 ha

Nieruchomość gruntowa niezabudowana i nieuzbrojona, aktualnie stanowi niezagospodarowany teren porośnięty trawami i chwastami. Działka gruntowa o kształcie zbliżonym do prostokąta z zachowaną proporcją długości boków, teren płaski. Nieruchomość usytuowana jest w sąsiedztwie innych niezabudow...
Szczegóły przetargu

Termin: 2022-06-02

Organizator przetargu:
Urząd Miasta i Gminy Mieroszów
Przetarg na działkę

Mieroszów

...odbędzie się w dniu 2 czerwca 2022 r. o godzinie 9:00 w budynku Urzędu Miejskiego w Mieroszowie - sala posiedzeń, II piętro.

2. Nieruchomość niezabudowana - działka nr 424/2 o powierzchni 0,1272 ha

Nieruchomość gruntowa niezabudowana i nieuzbrojona, aktualnie stanowi niezagospodarowany teren porośnięty trawami i chwastami. Działka gruntowa o kształcie zbliżonym do prostokąta z zachowaną proporcją długości boków, teren płaski. Nieruchomość usytuowana jest w sąsiedztwie innych niezabudow...
Szczegóły przetargu

Cena wywoławcza:

78 000 zł

63,00 zł/m2

1 235 m2

Termin: 2022-06-02

Organizator przetargu:
Urząd Miasta i Gminy Mieroszów
Przetarg na działkę

Mieroszów

Cena wywoławcza:

78 000 zł

63,00 zł/m2

1 235 m2

...odbędzie się w dniu 2 czerwca 2022 r. o godzinie 9:00 w budynku Urzędu Miejskiego w Mieroszowie - sala posiedzeń, II piętro.

2. Nieruchomość niezabudowana - działka nr 424/2 o powierzchni 0,1272 ha

Nieruchomość gruntowa niezabudowana i nieuzbrojona, aktualnie stanowi niezagospodarowany teren porośnięty trawami i chwastami. Działka gruntowa o kształcie zbliżonym do prostokąta z zachowaną proporcją długości boków, teren płaski. Nieruchomość usytuowana jest w sąsiedztwie innych niezabudow...
Szczegóły przetargu

Termin: 2022-06-02

Organizator przetargu:
Urząd Miasta i Gminy Mieroszów
Przetarg na działkę

Szczawno-Zdrój, Szczawieńska

BURMISTRZ SZCZAWNA-ZDROJU

na podstawie art. 39 ustawy z dnia 21 sierpnia 1997r o gospodarce nieruchomościami (tekst jednolity Dz. U. z 2021 r. poz. 1899 ze zm.) oraz rozporządzenia Rady Ministrów z dnia 14 września 2004 r. w sprawie sposobu i trybu przeprowadzania przetargów oraz rokowań na zbycie nieruchomości (tekst jednolity Dz. U. z 2021 r., poz.2213), zarządzenia nr 7/2022 Burmistrza Szczawna-Zdroju z dnia 17 stycznia 2022 r.

OGŁASZA

rokowania na sprzedaż nieruchomości gruntowej niezabud...
Szczegóły przetargu

Cena wywoławcza:

1 460 000 zł

115 zł/m2

12 643 m2

Termin: 2022-05-31

Organizator przetargu:
Urząd Miasta Szczawno-Zdrój
Przetarg na działkę

Szczawno-Zdrój, Szczawieńska

Cena wywoławcza:

1 460 000 zł

115 zł/m2

12 643 m2

BURMISTRZ SZCZAWNA-ZDROJU

na podstawie art. 39 ustawy z dnia 21 sierpnia 1997r o gospodarce nieruchomościami (tekst jednolity Dz. U. z 2021 r. poz. 1899 ze zm.) oraz rozporządzenia Rady Ministrów z dnia 14 września 2004 r. w sprawie sposobu i trybu przeprowadzania przetargów oraz rokowań na zbycie nieruchomości (tekst jednolity Dz. U. z 2021 r., poz.2213), zarządzenia nr 7/2022 Burmistrza Szczawna-Zdroju z dnia 17 stycznia 2022 r.

OGŁASZA

rokowania na sprzedaż nieruchomości gruntowej niezabud...
Szczegóły przetargu

Termin: 2022-05-31

Organizator przetargu:
Urząd Miasta Szczawno-Zdrój
Przetarg na działkę

Mieroszów, Kościelna

...odbędzie się w dniu 20 maja 2022 r. o godzinie 9:00 w budynku Urzędu Miejskiego w Mieroszowie - sala posiedzeń, II piętro.

Warunkiem dopuszczenia do przetargu jest wpłacenie wadium przelewem nie później niż do dnia 16 maja 2022 r. na rachunek Gminy Mieroszów

nr 07 8395 0001 0021 8115 2000 0008 prowadzony w Banku Spółdzielczym w Kamiennej Górze. Za datę wniesienia wadium uważa się datę wpływu środków pieniężnych na rachunek Gminy Mieroszów.

Przed otwarciem przetargu jego uczestnik jest zob...
Szczegóły przetargu

Cena wywoławcza:

7 100 zł

131 zł/m2

54 m2

Termin: 2022-05-20

Organizator przetargu:
Urząd Miasta i Gminy Mieroszów
Przetarg na działkę

Mieroszów, Kościelna

Cena wywoławcza:

7 100 zł

131 zł/m2

54 m2

...odbędzie się w dniu 20 maja 2022 r. o godzinie 9:00 w budynku Urzędu Miejskiego w Mieroszowie - sala posiedzeń, II piętro.

Warunkiem dopuszczenia do przetargu jest wpłacenie wadium przelewem nie później niż do dnia 16 maja 2022 r. na rachunek Gminy Mieroszów

nr 07 8395 0001 0021 8115 2000 0008 prowadzony w Banku Spółdzielczym w Kamiennej Górze. Za datę wniesienia wadium uważa się datę wpływu środków pieniężnych na rachunek Gminy Mieroszów.

Przed otwarciem przetargu jego uczestnik jest zob...
Szczegóły przetargu

Termin: 2022-05-20

Organizator przetargu:
Urząd Miasta i Gminy Mieroszów
Przetarg na działkę

Jedlina-Zdrój, Pokrzywianka

...odbędzie się w dniu

18 maja 2022 r. o godzinie 11:00

w siedzibie Urzędu Miasta Jedlina-Zdrój przy ulicy Poznańskiej nr 2.

WYSOKOŚĆ WADIUM:

Wadium należy wnieść w pieniądzu w wysokości 18 000 zł (słownie: osiemnaście tysięcy złotych 00/100) na rachunek Gminy Jedlina-Zdrój nr 13 1020 5095 0000 5602 0011 4280 w PKO BP S.A. I Oddział w Wałbrzychu, nie później niż 11 maja 2022 r., z napisem na dowodzie wpłaty (przelewie) „wadium – działka nr 188/7”.

INFORMACJA O MIEJSCU WYWIESZENIA I PUBLIK...
Szczegóły przetargu

Cena wywoławcza:

120 000 zł

105 zł/m2

1 144 m2

Termin: 2022-05-18

Organizator przetargu:
Urząd Miasta Jedlina-Zdrój
Przetarg na działkę

Jedlina-Zdrój, Pokrzywianka

Cena wywoławcza:

120 000 zł

105 zł/m2

1 144 m2

...odbędzie się w dniu

18 maja 2022 r. o godzinie 11:00

w siedzibie Urzędu Miasta Jedlina-Zdrój przy ulicy Poznańskiej nr 2.

WYSOKOŚĆ WADIUM:

Wadium należy wnieść w pieniądzu w wysokości 18 000 zł (słownie: osiemnaście tysięcy złotych 00/100) na rachunek Gminy Jedlina-Zdrój nr 13 1020 5095 0000 5602 0011 4280 w PKO BP S.A. I Oddział w Wałbrzychu, nie później niż 11 maja 2022 r., z napisem na dowodzie wpłaty (przelewie) „wadium – działka nr 188/7”.

INFORMACJA O MIEJSCU WYWIESZENIA I PUBLIK...
Szczegóły przetargu

Termin: 2022-05-18

Organizator przetargu:
Urząd Miasta Jedlina-Zdrój
Przetarg na działkę

Szczawno-Zdrój

...odbędzie się dnia

18 maja 2022 roku o godz. 10:00,

w sali nr 27 Urzędu Miasta Szczawna-Zdroju ul. Kościuszki 17.

Warunkiem uczestnictwa w przetargu jest wniesienie wadium w pieniądzu w wysokości 10.000,- zł (słownie: dziesięć tysięcy złotych) na konto Uzdrowiskowa Gmina Miejska Szczawno-Zdrój - PKO BP SA O/Wałbrzych Nr 76 1020 5095 0000 5102 0011 4264.

Wadium wniesione w pieniądzu winno zostać uznane na rachunku gminy nie później

niż w dniu 11 maja 2022 r.

Uwagi dodatkowe:

• o wysokoś...
Szczegóły przetargu

Cena wywoławcza:

80 000 zł

107 zł/m2

750 m2

Termin: 2022-05-18

Organizator przetargu:
Urząd Miasta Szczawno-Zdrój
Przetarg na działkę

Szczawno-Zdrój

Cena wywoławcza:

80 000 zł

107 zł/m2

750 m2

...odbędzie się dnia

18 maja 2022 roku o godz. 10:00,

w sali nr 27 Urzędu Miasta Szczawna-Zdroju ul. Kościuszki 17.

Warunkiem uczestnictwa w przetargu jest wniesienie wadium w pieniądzu w wysokości 10.000,- zł (słownie: dziesięć tysięcy złotych) na konto Uzdrowiskowa Gmina Miejska Szczawno-Zdrój - PKO BP SA O/Wałbrzych Nr 76 1020 5095 0000 5102 0011 4264.

Wadium wniesione w pieniądzu winno zostać uznane na rachunku gminy nie później

niż w dniu 11 maja 2022 r.

Uwagi dodatkowe:

• o wysokoś...
Szczegóły przetargu

Termin: 2022-05-18

Organizator przetargu:
Urząd Miasta Szczawno-Zdrój
Przetarg na działkę

Szczawno-Zdrój

...odbędzie się dnia

18 maja 2022 roku o godz. 12:00,

w sali nr 27 Urzędu Miasta Szczawna-Zdroju ul. Kościuszki 17.

Warunkiem uczestnictwa w przetargu jest wniesienie wadium w pieniądzu w wysokości 10.000,- zł (słownie: dziesięć tysięcy złotych) na konto Uzdrowiskowa Gmina Miejska Szczawno-Zdrój - PKO BP SA O/Wałbrzych Nr 76 1020 5095 0000 5102 0011 4264.

Wadium wniesione w pieniądzu winno zostać uznane na rachunku gminy nie później

niż w dniu 11 maja 2022 r.

Uwagi dodatkowe:

• o wysokoś...
Szczegóły przetargu

Cena wywoławcza:

120 000 zł

99,00 zł/m2

1 212 m2

Termin: 2022-05-18

Organizator przetargu:
Urząd Miasta Szczawno-Zdrój
Przetarg na działkę

Szczawno-Zdrój

Cena wywoławcza:

120 000 zł

99,00 zł/m2

1 212 m2

...odbędzie się dnia

18 maja 2022 roku o godz. 12:00,

w sali nr 27 Urzędu Miasta Szczawna-Zdroju ul. Kościuszki 17.

Warunkiem uczestnictwa w przetargu jest wniesienie wadium w pieniądzu w wysokości 10.000,- zł (słownie: dziesięć tysięcy złotych) na konto Uzdrowiskowa Gmina Miejska Szczawno-Zdrój - PKO BP SA O/Wałbrzych Nr 76 1020 5095 0000 5102 0011 4264.

Wadium wniesione w pieniądzu winno zostać uznane na rachunku gminy nie później

niż w dniu 11 maja 2022 r.

Uwagi dodatkowe:

• o wysokoś...
Szczegóły przetargu

Termin: 2022-05-18

Organizator przetargu:
Urząd Miasta Szczawno-Zdrój
Przetarg na działkę

Jedlina-Zdrój, Pokrzywianka

...odbędzie się w dniu

17 maja 2022 r. o godzinie 9:00

w siedzibie Urzędu Miasta Jedlina-Zdrój przy ulicy Poznańskiej nr 2.

WYSOKOŚĆ WADIUM:

Wadium należy wnieść w pieniądzu w wysokości 30 000 zł (słownie: trzydzieści tysięcy złotych 00/100) na rachunek Gminy Jedlina-Zdrój nr 13 1020 5095 0000 5602 0011 4280 w PKO BP S.A. I Oddział w Wałbrzychu, nie później niż 10 maja 2022 r., z napisem na dowodzie wpłaty (przelewie) „wadium – działka nr 188/4”.

INFORMACJA O MIEJSCU WYWIESZENIA I PUBLIKA...
Szczegóły przetargu

Cena wywoławcza:

180 000 zł

99,00 zł/m2

1 826 m2

Termin: 2022-05-17

Organizator przetargu:
Urząd Miasta Jedlina-Zdrój
Przetarg na działkę

Jedlina-Zdrój, Pokrzywianka

Cena wywoławcza:

180 000 zł

99,00 zł/m2

1 826 m2

...odbędzie się w dniu

17 maja 2022 r. o godzinie 9:00

w siedzibie Urzędu Miasta Jedlina-Zdrój przy ulicy Poznańskiej nr 2.

WYSOKOŚĆ WADIUM:

Wadium należy wnieść w pieniądzu w wysokości 30 000 zł (słownie: trzydzieści tysięcy złotych 00/100) na rachunek Gminy Jedlina-Zdrój nr 13 1020 5095 0000 5602 0011 4280 w PKO BP S.A. I Oddział w Wałbrzychu, nie później niż 10 maja 2022 r., z napisem na dowodzie wpłaty (przelewie) „wadium – działka nr 188/4”.

INFORMACJA O MIEJSCU WYWIESZENIA I PUBLIKA...
Szczegóły przetargu

Termin: 2022-05-17

Organizator przetargu:
Urząd Miasta Jedlina-Zdrój
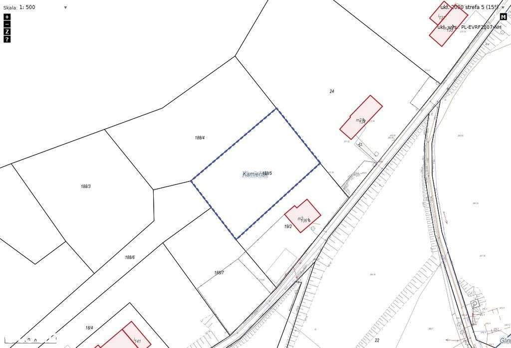
Przetarg na działkę

Jedlina-Zdrój, Pokrzywianka

...odbędzie się w dniu

17 maja 2022 r. o godzinie 11:00

w siedzibie Urzędu Miasta Jedlina-Zdrój przy ulicy Poznańskiej nr 2.

WYSOKOŚĆ WADIUM:

Wadium należy wnieść w pieniądzu w wysokości 20 000 zł (słownie: dwadzieścia tysięcy złotych 00/100) na rachunek Gminy Jedlina-Zdrój nr 13 1020 5095 0000 5602 0011 4280 w PKO BP S.A. I Oddział w Wałbrzychu, nie później niż 10 maja 2022 r., z napisem na dowodzie wpłaty (przelewie) „wadium – działka nr 188/5”.

INFORMACJA O MIEJSCU WYWIESZENIA I PUBLIK...
Szczegóły przetargu

Cena wywoławcza:

140 000 zł

102 zł/m2

1 367 m2

Termin: 2022-05-17

Organizator przetargu:
Urząd Miasta Jedlina-Zdrój
Przetarg na działkę

Jedlina-Zdrój, Pokrzywianka

Cena wywoławcza:

140 000 zł

102 zł/m2

1 367 m2

...odbędzie się w dniu

17 maja 2022 r. o godzinie 11:00

w siedzibie Urzędu Miasta Jedlina-Zdrój przy ulicy Poznańskiej nr 2.

WYSOKOŚĆ WADIUM:

Wadium należy wnieść w pieniądzu w wysokości 20 000 zł (słownie: dwadzieścia tysięcy złotych 00/100) na rachunek Gminy Jedlina-Zdrój nr 13 1020 5095 0000 5602 0011 4280 w PKO BP S.A. I Oddział w Wałbrzychu, nie później niż 10 maja 2022 r., z napisem na dowodzie wpłaty (przelewie) „wadium – działka nr 188/5”.

INFORMACJA O MIEJSCU WYWIESZENIA I PUBLIK...
Szczegóły przetargu

Termin: 2022-05-17

Organizator przetargu:
Urząd Miasta Jedlina-Zdrój
1                         56
- Najnowsze obwieszczenia o przetargach i licytacjach nieruchomości z ponad 1000 źródeł
- Ogłoszenia bezpośrednie i agencyjne z 52 portali nieruchomości